借りる
買う
投資
物件検索
売買
土地の売買
奈良県の売買
桜井市の売買
検索結果
1
件表示 / 1件中
拡大する
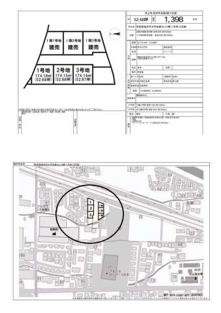
奈良県桜井市大字金屋 土地
奈良県桜井市大字金屋
マップで見る
価格 1,298万
取扱店舗
1
社
物件詳細を見る
絞り込み
間取り
建物構造
特徴