借りる
買う
投資
物件検索
投資
大阪府の投資
枚方市の投資
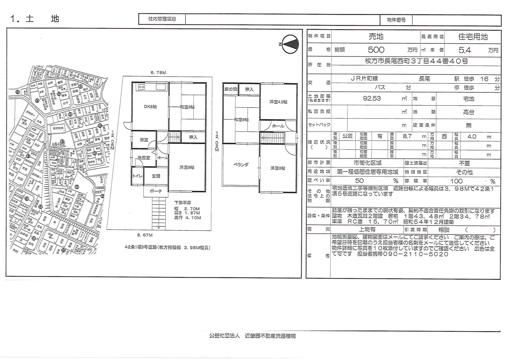
土地の物件詳細
土地の物件詳細
拡大する
都市ガス
上水道
下水道
所在地
大阪府枚方市長尾西町3丁目44-40
マップで見る
この物件を取り扱うエージェント
松田 孝彦
取扱物件数
10
アルファ―産業
大阪府池田市槻木町
072-752-7500
https://a-275.com
この担当者に問い合わせる